(FOTO/VIDEO) "Nenormalno aktivna" sezona uragana: Beryl opustošio Karibe, juriša prema Jamajci

Uragan Beryl kreće se velikom brzinom prema Jamajci kao rekordna oluja pete kategorije nakon što je ostavila karipske otoke u ruševinama
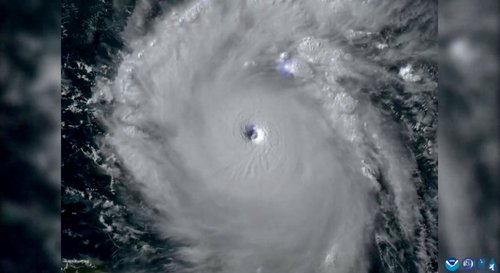
Uragan Beryl, sada potencijalno katastrofalna oluja pete kategorije, zahvatio je obalu Jamajke nakon što je u ponedjeljak uzrokovao smrt najmanje jedne osobe, nanijevši materijalnu štetu otocima u Karibima.
Beryl maršira dalje od otočja Windward s vjetrovima od 165 mph nakon što je uništio brojne domove u Grenadi i St. Vincentu i Grenadinima, gdje su mnogi još uvijek bez struje i vode. Do srijede poslijepodne, predviđa se da će oluja pogoditi Jamajku vjetrovima opasnim po život i olujnim valovima.
Oluja nastavlja rušiti rekorde jer započinje izuzetno ranu sezonu uragana - sada postaje najraniji uragan kategorije 5 zabilježen i tek druga atlantska oluja takve snage koja je zabilježena u julu.
Bilo je potrebno samo nekoliko minuta da Beryl prođe kroz Grenadu u ponedjeljak, razbijajući zgrade i prekidajući struju i telefonske usluge gotovo svim stanovnicima otoka, priopćio je ured guvernera.
"U pola sata Carriacou je sravnjen s zemljom", rekao je u ponedjeljak premijer Grenade Dickon Mitchell.
Put "ogromnog razaranja, boli (i) patnje" iscijepan je kroz susjednu državu St. Vincent i Grenadine, gdje je najmanje jedna osoba navodno umrla, rekao je premijer Ralph Gonsalves. Dijelovi otoka, uključujući bolnice, nemaju struje, a drugi su bez vode.
Oko 90 posto domova na nacionalnom otoku Union je oštećeno ili uništeno, rekao je Gonsalves. Još stotine domova i nekoliko škola, crkava i vladinih zgrada u St. Vincentu također su pretrpjeli ozbiljnu štetu.
"Sutra ćemo ustati s našom predanošću i uvjerenjem da ponovno izgradimo naše živote i živote naših porodica", rekao je Gonsalves u ponedjeljak navečer.
Iako će Beryl vjerojatno varirati u snazi u nadolazećim danima, očekuje se da će ostati "izuzetno opasan veliki uragan" - kategorije 3 ili jači - do sredine sedmice, saopštio je centar za uragane.
Uragan će nastaviti s jakim vjetrovima, olujnim kišama i opasnim morima koji će se protezati daleko izvan središta preko većeg dijela Kariba. Čak i ako Beryl ne stigne do Jamajke, njegovi će vanjski pojasevi i dalje imati značajan utjecaj.
Počinje sezona uragana daleko od normalne
Brzo jačanje oluje Beryl i rani dolazak vrlo su rijetki za sezonu uragana u Atlantiku i zabrinjavajući su pokazatelj da će ova sezona biti daleko od normalne u svjetskom zatopljenju zbog klimatskih promjena koje pokreću ljudi.
Oluja je već srušila brojne rekorde. U nedjelju je to postao najraniji veliki uragan – definiran kao onaj kategorije 3 ili više – u Atlantiku u 58 godina i jedini koji je dosegao status kategorije 4 u mjesecu junu.
Uragan je uspio oživjeti jer je ocean sada topao kao što bi inače bio na vrhuncu sezone uragana, rekao je Jim Kossin, stručnjak za uragane i naučni savjetnik u neprofitnoj organizaciji First Street Foundation.
"Uragani ne znaju koji je mjesec, znaju samo kakvo je njihovo okruženje", rekao je Kossin za CNN. "Beryl obara rekorde za mjesec juni jer Beryl misli da je septembar".
Kossin je dodao da toplina oceana koja potiče jačanje oluje Beryl bez presedana "sigurno ima ljudski otisak prsta na sebi".
Prognostičari su upozorili da se ova sezona uragana sprema da postane nenormalno aktivna. Prognostičari Nacionalne meteorološke službe predviđaju 17 do 25 imenovanih oluja ove sezone, a čak 13 od njih će postati uragani.
Program N1 televizije možete pratiti UŽIVO na ovom linku kao i putem aplikacija za Android|iPhone/iPad
Program N1 televizije možete pratiti UŽIVO na ovom linku kao i putem aplikacija za Android|iPhone/iPad
Kakvo je tvoje mišljenje o ovome?
Učestvuj u diskusiji ili pročitaj komentare