Oglas

(VIDEO) Super tajfun Yagi stiže u Kinu: Zatvorene škole, letovi otkazani...

author
Hina
06. sep. 2024. 07:14
158ec6e7-3fb4-4b05-9d10-a22e73c7ffda
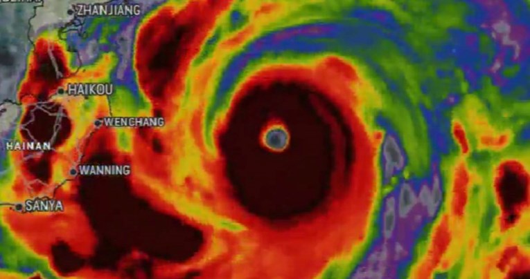
Screenshot: X | Screenshot: X

Snažni vjetrovi i jaka kiša zbog super tajfuna Yagi zapljusnuli su danas južnu Kinu, gdje su škole zatvorene drugi dan zaredom, a letovi otkazani jer jedna od najjačih oluja koja je ove godine pogodila Aziju kreće prema kopnu duž obale kineske tropske pokrajine Hainan.

Oglas

Uz vjetrove maksimalne brzine od 245 kilometara na sat u blizini svog oka, Yagi je drugi najjači tropski ciklon na svijetu od početka 2024., nakon atlantskog uragana Beryl kategorije 5, koji je ranije pogodio SAD. Više nego udvostručene snage nakon razaranja sjevernih Filipina ranije ovog tjedna, očekuje se da će Yagi od petka poslijepodne stići do obale Kine i kretati se od Wenchanga u Hainanu do Leizhoua u Guangdongu.

Zatvorene škole, burza, otkazani letovi...


Vjetar i kiša bili su tijekom noći i danas ujutro po cijeloj regiji popraćeni snažnom grmljavinom i munjama. Prometne veze diljem južne Kine bile su uglavnom prekinute, a mnogi su letovi otkazani u Hainanu, Guangdongu, Hong Kongu i Makau.

Oglas








Najduži pomorski prijelaz na svijetu, glavni most koji povezuje Hong Kong s Makaom i Zhuhaijem u Guangdongu, također je zatvoren. U financijskom središtu Hong Konga burza je zatvorena, kao i škole. Oznaka snage 8, što označava treći po snazi tajfun, bit će na snazi ​​najmanje do 12 sati, priopćio je hongkonški opservatorij.

Tajfuni postaju sve jači


Kineska vlada poslala je radne skupine u Guangdong i Hainan kako bi upravljale prevencijom poplava i tajfuna, objavila je službena novinska agencija Xinhua. Dolazak super tajfuna u pokrajinu Hainan vrlo je rijedak, budući da je većina tajfuna koji zahvaćaju tu pokrajinu, koja je ujedno i najveći kineski otok, klasificirana kao slaba.

Oglas












Od 1949. do 2023. Hainan je zahvatilo 106 tajfuna, ali samo devet je bilo klasificirano kao super tajfuni. Tajfuni postaju sve jači, potaknuti toplijim oceanima, zbog klimatskih promjena, kažu znanstvenici.

Prošli tjedan tajfun Shanshan pogodio je jugozapadni Japan, što je bila najjača oluja koja je pogodila tu zemlju u posljednjih nekoliko desetljeća. Yagi, koji je u srijedu navečer ojačao u supertajfun, japanska je riječ za kozu i za sazviježđe Jarca, mitskog bića koje je pola koza, pola riba.






Program N1 televizije možete pratiti UŽIVO na ovom linku kao i putem aplikacija za Android|iPhone/iPad








Program N1 televizije možete pratiti UŽIVO na ovom linku kao i putem aplikacija za Android|iPhone/iPad






Program N1 televizije možete pratiti UŽIVO na ovom linku kao i putem aplikacija za Android|iPhone/iPad




Program N1 televizije možete pratiti UŽIVO na ovom linku kao i putem aplikacija za Android|iPhone/iPad

Više tema kao što je ova?

Kakvo je tvoje mišljenje o ovome?

Učestvuj u diskusiji ili pročitaj komentare

Pratite nas na društvenim mrežama